![]() |


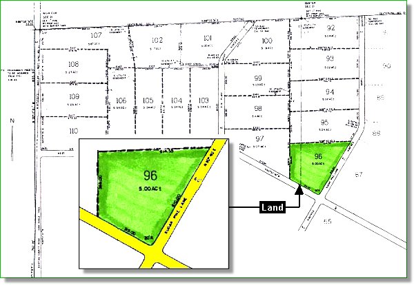
PHOTOS IN THIS AUCTION WERE TAKEN ON THIS 5 ACRE PARCEL. THE PROPERTY IS IN A VALLEY WITH GOOD VIEWS AND IN A VERY SECLUDED AREA. IT IS ONLY A SHORT 40 MILE DRIVE TO BRECKENRIDGE SKI RESORT. DENVER IS ONLY 2 HOURS AWAY. THE ROADS ARE COUNTY MAINTAINED. THERE ARE BEAUTIFUL HOMES IN THE AREA. SPINNEY MOUNTAIN RESERVOIR AND RECREATION AREA IS ONLY MINUTES FROM THIS LAND. THESE PARCELS ARE EXTREMELY HARD TO FIND AND THIS IS A BEAUTIUFL VIEW LOT IN THIS DEVELOPMENT. IDEAL TO BUILD NOW OR HOLD FOR THE FUTURE. THIS LAND HAS VIEWS OF COLLEGIATE PEAKS, MT. PRINCETON TO THE WEST, BUFFALO PEAKS, MT. SILVERHELLS, THE MOSQUITO RANGE, AND MT. EVANS WILDERNESS AREA. EXISTING DIRT AND GRAVEL ROADS ARE MAINTAINED BY THE COUNTY AND LEAD TO THIS PROPERTY. DEVELOPED PARCELS WILL GET MORE ROAD MAINTENANCE THAN THOSE NOT DEVELOPED. PROPERTY IS FAIRLY FLAT WITH NICE VIEWS. IT IS APPROX 10 MILES FROM HARTSEL AND 0.5 MI FROM COUNTY ROAD 53. THERE ARE A FEW HOMES OFF IN THE DISTANCE FROM THE LAND. BEQAUTIFUL CORNER LOT!
PROPERTY ID: #96AP3
YOU ARE BIDDING FOR THE DOWN PAYMENT ONLY!
|
|
You may participate in only one of our property auctions at a time. Do not bid if you find any aspect of these terms to be disagreeable.
High Bidder will assume the balance of $25,000 payable at $275.00 per month.
CLICK HERE To see what our customers say about their land ownership from Billyland!
To listen to the Billyland theme song CLICK HERE




























Please Note:
YOU ARE BIDDING FOR THE DOWN PAYMENT ONLY!
HC71, Box 495c
Hanover, NM 88041
Call Toll free (800) 724-0551
![]()