![]() |

About Battle Mountain: Known as “Nevada’s Cowboy Country” and “Gateway to Nevada’s Outback” was settled in 1870 due to a couple of important factors; the discovery of Silver in 1862, about 93 miles south of Battle Mountain and the Central Pacific Railroad announced in 1867, that the soon-to-be-constructed railroad tracks for the Transcontinental Railroad would follow the Humboldt River. Battle Mountain is the County Seat for Lander County and is a small town of about 3,000 people. Although small in size, they enjoy a variety of resources and activities throughout the area. Outdoor activities include big game and bird hunting, fishing, ATV & motocross track, race car track, mountain bike trail, state park, tennis courts, 9 hole golf course, livestock events center, (Rodeo’s are a mainstay), the World Famous Annual “World Human Powered Speed Challenge” held in September, The Annual Pony Express Open Road Car Race which is held in July of each year and the annual Lander County Fair.
Zoning: The property is zoned Agricultural (A-3), which allows, AMONG OTHER USES, Single Family Dwellings (manufactured or permanent), Ranching, Farms- the raising on a commercial scale, poultry, rabbits, livestock, game ranches, commercial livestock operations, dairies, kennels, garden/tree nurseries and Dude/guest ranches. You must comply with all County, State & Federal Regulations when Building.
Access: There is legal access from a public road (Old Highway 8A) across all private lands to get to the properties. Although there are access / easements / right of way across the lands, an actual road may or may not exist. If there is no road to the property, you have the right to blade a road to it.
Use: Use the property to camp, hunt (rabbits & coyotes), hike, horseback ride, vacation, star gaze, build a residence/ranch, hold as an asset for future speculation purposes, or pass it on to the children/ grandchildren, or just to say you own a piece of the great American West, where Blue Skies and Majestic Clouds are common: As they say, "LAND; THEY AREN'T MAKING ANY MORE OF IT!!!
Water: The owner of the property has the right to drill a domestic water well. Although we DO NOT guarantee the success of a well or the quality of water, based on the state published reports of wells drilled in the area it appears water is found around the 100 to 200 ft depth. For information, we suggest you contact well drillers that perform their services in that area or log onto the Nevada Water District website. You must obtain a permit to drill a well.
Mineral Rights: All Mineral Rights have been previously reserved by other owner(s)
Property Taxes: Property taxes are less than $100.00 per year, for each parcel, but may be subject to reassessment by the county. Property tax calculations are fixed by Nevada state law. The property is currently taxed under a "Agricultural Deferred Property". This reduces the annual property taxes billed by the County. Any building, or improvments on the property will change this Agricultural Status and will cause the property taxes to be increased and cause the deferred taxes to be billed by the County. Please talk with the County to get a complete detailed explanation on Agricultural Deferred Property, if you intend on building or making improvements to the property.
Property surveys: The parcels have been surveyed and all corners of each parcel are marked. A record of this survey has been recorded. Elevation is approximately 3980 feet ASL.
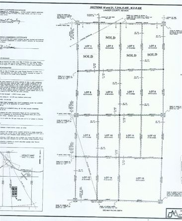
Legal Description: Lot 7 of Map of Division into Large Parcels within Sections 16 & 21 T31N R45E M.D.B.M. Recorded 11/14/2005 Document # 0239379 Bk 548 Page 612. being 84.72 acres Price 39,995.00 payable $395.00 per month. 9.5% APR
PROPERTY ID: BM-WP-07
YOU ARE ASSUMING A BALANCE OF $39,995, PAYABLE AT $395.00 PER MONTH INCLUDING INTEREST RATE OF 9.5% PER ANNUM (YOUR BID AMOUNT WILL BE DEDUCTED FROM THE BALANCE).
FIND OUT ALL YOU NEED TO KNOW BY CALLING SAM MILLS AT (714) 744-1581 If you have any questions, click here to ask Sam directly! THEN AND ONLY THEN MAKE YOUR BID.
The Sale Price of the Property is set at $39,995.00 Your sealed bid is for the down payment only. The down payment is subtracted from from the sales price. The unpaid balance will be financed by the Seller under a Standard Agreement of Sale (Real Property Sales Agreement), sometimes referred to as a Contract for Deed. The unpaid balance is to paid $395.00, per month, with interest at the rate is 9.5% APR. This is a fully amortized loan. There are no prepayment penalties, which means you may make higher monthly payments or pay the loan off at any time with no penalty.
Contact Sam Mills @ (714) 744-1581
*All information/materials/pictures contained in this website is owned by SILVER STAR LAND & CATTLE CO., LLC. No part of this website, including but not limited to, the pictures,
and the information contained herein, shall be copied or reproduced for any commercial purposes, unless express written permission is given by SILVER STAR LAND & CATTLE CO.,
LLC. All information herein has been gathered from sources deemed to be reliable and is believed to be correct, but can not be guaranteed by the seller. Buyer should verify or obtain any
information they deem to be important, with independent outside sources, which they deem to be reliable. All parcels are subject to prior sale, withdrawl from the market or a change in price
and terms without prior notice.






