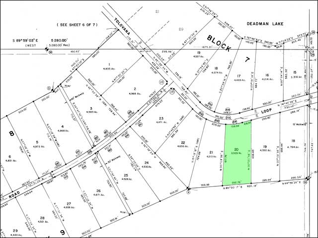
This auction is for 3.92 Acres of the Deadman Lake Subdivision, Lot 20 in Block 9. The assorted cabins and floatplane visible in the pictures are not included in this auction...
This parcel are located at the South side of Deadman Lake, with a sunny Southern exposure. It is just a short walking distance to the lake itself. The Development is bordered by seemingly endless miles of public lands for hunting, hiking or fishing. It is located on the map about 60 miles west of Fairbanks, and about 4 miles west of the Tanana River, in a remote setting offering excellent recreational opportunities. This is your chance to acquire that remote piece of land and build that rustic cabin you've always dreamed about. The area’s lakes, rivers, ponds and streams, including the pristine 490 acres of Deadman Lake itself, teem with northern pike and other sport fish. It is a place that dreams are made of – Clean, clear air, magnificent water, and mountain views.
There are no utilities to the property, as is the case with nearly all Alaska property outside city limits. This property is not remote by Alaskan standards, and there are already about a dozen homes and cabins in this increasingly popular subdivision. There are no time limits to build your cabin, and best of all, there are NO PROPERTY TAXES!!!
The State of Alaska requires ADEC approval for sewage disposal systems. Your well must be a minimum of 100 feet from your septic system.
DIRECTIONS TO THE PROPERTY:By road and trail Deadman Lake is located about 80 miles west of Fairbanks, and by trail about 20 miles east of Manley Hot Springs.
Google Map and Driving Directions from FairbanksThe fastest and easiest way to Deadman Lake is by floatplane. In Fairbanks and other nearby communities you'll find many local air taxi services that can get you there quickly and inexpensively. (If you’re a pilot, you can fly there too.)
Rather than travel the 20 miles of highway and 60 miles of trail from Fairbanks to Deadman Lake, some prefer to drive the Elliott Highway west from Fairbanks for about 150 miles to the town of Manley Hot Springs, enjoy the hot springs, and then double-back southeast for about 20 miles of trail to Deadman Lake. The Nenana-Tanana Trail (also called the 'Serum Run Trail' or 'Sled Road', a historic mail and telegraph route linking Manley Hot Springs to Nenana, Tolovana, Tofty, and Tanana), runs right through the middle of the subdivision. Locally it's called Telegraph Avenue, and runs along the north edge of the lake – and can be seen in the map below.
You can also travel by boat to the confluence of the Tanana and Tolovana Rivers, and from there approximately 4 miles west along the trail to the subdivision.
About the Historic Telegraph TrailThe trail from Manley Hot Springs follows the Historic Telegraph Trail that was put in by the Telegraph Co over a century ago to accommodate the telegraph line between Manley Hot Springs and Fairbanks. Today, the trail is used by many local residents as a major access to the pristine wilderness that surrounds the lake and river area. The Tanana River is about 4 miles away from the lakeshore and provides a major form of river travel that connects with the mighty Yukon River downstream about 40 miles. The area offers unlimited recreational opportunities including hot springs, caves, cross country skiing, hunting, fishing, hiking, golfing, wildlife viewing, camping, and endless ATV and snowmobiling opportunities! Nearby Fairbanks and surrounding communities are unique in friendliness, history, geology and services.
AttractionsThe hot springs in Manley are an attraction among those seeking pure solitude. When you get to Manley Hot Springs, check in at the Manley Roadhouse (Mile 152) for accommodations and details about soaking in the hot springs.
Further north, you'll find the Arctic Circle Trading Post, at Mile 49. The shop offers an official Arctic Circle registry, in which you can list your name and receive a souvenir certificate of arrival to the far north. Though there are several campgrounds and a few places to re-supply along the way to the Arctic Circle, you can expect the mostly gravel road to be lightly traveled.
Denali National Park is Earth's largest wildlife sanctuary and the home of 20,320 foot Mount McKinley. This area is surrounded by pristine rivers and lakes, and is covered with spruce, willow, birch and alder trees. Wildlife common to the area include moose, bear, eagles, and of course Alaskan salmon. Nearby rivers and streams are all loaded with fish and ready to be explored.
Trails and roads throughout the development are marked and well defined.
The Lot is located on the South side of Tolovana Loop, just East of Kantishna Road, in Deadman Lake, Alaska, 99756.
AKDLB09L20
ASK ALL OF YOUR QUESTIONS BEFORE YOU BID!
Buyer will receive a 1-Year Parcel Exchange Privilege at no cost.
(Some properties may not be available as an exchange.)
This Parcel is offered with Owner Financing and no qualification to own.
This Parcel is within a Legal Recorded Subdivision or Plat.
This Parcel may be subject to Protective Covenants.
Title insurance is available on all Parcels.
We Guarantee a free and clear Title! To Obtain more information:
Send an email to

- Or -
Call and speak to Billy directly! 1-949-933-0721
Be certain that this land is suitable for your needs
before you place your bid. It is
your responsibility to determine if this
property is suitable for
your specific needs!
Be certain that you have no unanswered questions before you place your bid.
The winning bidder will be contacted by email
immediately after the end of the Auction.
The winning bidder must contact me at

within 24 hours after the end of the Auction.
A 'Documents Processing Fee' of $249.00 will apply to each auction,
and covers the cost of document preparation and FedEx Mailings.
This fee is due no later than 10 business days after the auction closes.
Please, do not bid if you find any aspect
of these terms to be disagreeable.