Your Winning Bid is the DOWN PAYMENT PRICE of the Property! Your Down Payment will be subtracted from
the assumable balance of $19,900!
Guaranteed Financing is offered by the seller
to the winner of this auction! Installments as low as $219 monthly!
Owner Financing! - No Credit Checks! - No Qualification to Own!
Payment for Your Winning Bid is due within 2 Business Days
after the auction ends. Payments can be made On-Line at
www.BillyLand.com/Payments
Located just off Elliott Hwy, this 6.12 acre lot offers great views of the Alaskan mountain ranges and the world famous Aurora Borealis (Northern lights). Fairbanks Alaska is considered one of the best places to see the Northern Lights in the world. Fairbanks is located inside the Aural Oval, which hovers over the North Pole, which greatly increases the chance to see the Northern Lights. The Aurora season is typically from August 21st through April 21st.
Fairbanks has a long list of great activities available, including the Fountainhead Antique Car Museum, Running Reindeer Ranch, University of Alaska Museum of the North, University of Alaska Fairbanks, Chena River State Recreation Area, Angel Rocks Trail, HooDoo Brewery, Aurora Ice Museum, Palace Theater, Black Spruce Dog Sledding, Antler Arch and the list goes on and on.
Property Information
Acreage:
6.12
Property ID (Tax ID or APN #):
418301
Legal Description:
LOT 15 IN BLOCK 6 OF ALASKA STATE LAND SURVEY NO. 2003-14, TATALINA SUBDIVISION, CONTAINING 6.12 ACRES, MORE OR LESS, ACCORDING TO THE SURVEY PLAT RECORDED IN THE FAIRBANKS RECORDING DISTRICT O MARCH 31, 2005, AS PLAT 2005-52.
Road Access:
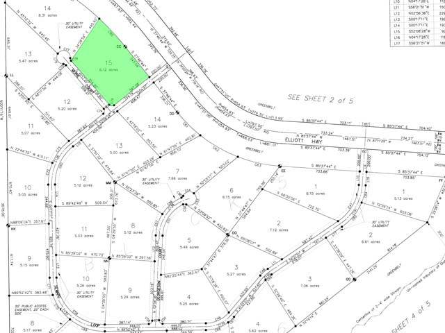
Easement access from paved highway. See plat map below.
Zoning:
Agriculture
Utilities:
None
Note: Photos are not from the actual property. They are general photos of the surrounding area.
Restrictions Listing ID: AK-15/06/TATALINA
Please read the following before you bid!
YOU ARE BIDDING FOR THE DOWN PAYMENT ONLY!
The Winning Bidder will assume a balance of $19,900.
The amount of your Winning Bid will be deducted from
the assumable balance as your down payment!
This property comes with a 20-year finance option at 12% simple interest
with monthly payments of approximately $219.
Monthly Payment may vary slightly based on final Down Payment Amount.
There is no Prepayment Penalty, and we offer a
5 Percent Discount on your unpaid balance when prepaid in full.
ASK ALL OF YOUR QUESTIONS BEFORE YOU BID!
Buyer will receive a 1-Year Parcel Exchange Privilege at no cost.
(Some properties may not be available as an exchange.)
This Parcel is offered with Owner Financing and no qualification to own.
This Parcel is within a Legal Recorded Subdivision or Plat.
This Parcel may be subject to Protective Covenants.
Title insurance is available on all Parcels.
We Guarantee a free and clear Title! To Obtain more information:
Send an email to

- Or -
Call and speak to Billy directly! 1-949-933-0721
Visit this Link for Auction Terms and more information regarding
Bidding and Participating in this Auction.
Be certain that this land is suitable for your needs
before you place your bid. It is
your responsibility to determine if this
property is suitable for
your specific needs!
Be certain that you have no unanswered questions before you place your bid.
The winning bidder will be contacted by email
immediately after the end of the Auction.
The winning bidder must contact me at

within 24 hours after the end of the Auction.
A 'Documents Processing Fee' of $249.00 will apply to each auction,
and covers the cost of document preparation and FedEx Mailings.
This fee is due no later than 10 business days after the auction closes.
Please, do not bid if you find any aspect
of these terms to be disagreeable.
Approximate Latitude/Longitude: 65.310822,-148.239056
Get driving directions to this location.
YOU ARE BIDDING FOR THE DOWN PAYMENT ONLY!
The Winning Bidder will assume a balance of $19,900
The amount of the Winning Bid will be deducted from
the assumable balance as the down payment!